1. Geodetické body
Firma vykonáva zakladanie vytyčovacích polohových a výškových sietí na stavbách a technologických linkách včetne stabilizácie.
Presnosť polohového bodového poľa:
1.trieda ......... 0,02 m
2.trieda ......... 0,04 m
3.trieda ......... 0,06 m
4.trieda ......... 0,12 m
Presnosť výškových polí:
Technická nivelácia .............. 0,01 m
Presná nivelácia .................. 0,001 m
Veľmi presná nivelácia ......... 0,0001 m

2. Účelové mapy veľkých mierok
Firma vyhotovuje účelové mapy všetkých významov od základnej mapy závodu, jednotnej železničnej mapy, základnej mapy diaľnice, letiska, technických máp miest, sídlisk až po účelové mapy pre projektovú dokumentáciu rodinných domov, chát a pod.
Ďalej zabezpečuje polohové a výškové zameranie pracovných pásov pri realizácií inžinierskych sietí a spracovanie Knihy káblov.
3. Geometrický plán a vytyčovanie hraníc pozemkov
Geometrický plán je technickým podkladom na vklad a záznam do katastra nehnuteľností. Firma ho dodáva spravidla v troch vyhotoveniach, autorizačne a úradne overených.
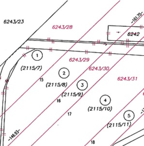
Príklady geometrických plánov:
Vytyčovanie hranice pozemku je geodetický výkon pre vyznačenie nových alebo pôvodných hraníc v prírode. Vytyčované hranice sa stabilizujú hraničnými kameňmi, plastovými značkami, oceľovými rúrkami, kolíkmi, oceľovými klincami a pod. Pri pochôdzke v teréne dodá firma k vytýčeniu vytyčovací výkres (náčrt) a vytyčovací protokol.

4. Projekt pozemkových úprav
Firma zabezpečuje kvalifikovaný výkon usporiadania pozemkového vlastníctva v registroch obnovenej evidencie pozemkov a v komplexných projektoch pozemkových úprav. Pozemkové úpravy sa riešia v celom katastrálnom území, alebo lokálne v navrhnutých honoch, prípadne niekoľkých parceliach. Firma spolupracuje s pozemkovými úradmi a so Slovenským pozemkovým fondom pri uspokojovaní reštitučných nárokov a vydávaní pozemkov do vlastníctva alebo náhradného užívania.
5. Podzemné a nadzemné vedenia
Overenie, vyhľadanie priebehu a zobrazenie podzemných vedení do mapy je dôležitým a často žiadaným výkonom pri projektovaní a realizácií stavebných objektov. Firma poskytuje najmä:
Tieto výkony je možné realizovať iba po dohode (objednávke) so správcom vedenia.
6. Pozdĺžne a priečne profily, kubatúry
Firma vykonáva zameranie, výpočet a zobrazenie:
Firma realizuje i profily hlbokých vodných plôch pracovným potápaním.
Zameranie, zobrazovanie a výpočty kubatúr (objemov) výkopov, násypov, skládok a jám vykonáva firma tak pre projektové, ako aj porealizačné potreby investorov. Ide najmä o:
7. Inžinierska geodézia
Z oblasti ižinierskej geodézie ponúka firma:
8. Vektorizácia a digitalizácia
Firma vyhotovuje vektorový (digitálny) súbor (vyk, vgi, dwg, dgn, dxf a pod.) z rôznych mapových podkladov digitalizáciou rastrového obrazu (jpg, cit, tiff, bmp, rle a pod.)